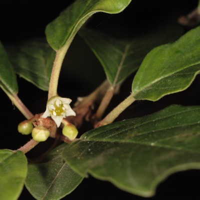
Frangula alnus Mill.
64 Pays basque, juin 2011
64 Pays basque, juin 2011
64 Pays basque, juin 2011
64 Pays basque, juin 2011
64 Pays basque, juin 2011
Sauf mention contraire, photos © Philippe ANTOINE. Réutilisation autorisée selon les termes de la licence CC-BY-SA : mentionner l'auteur de la photo et le nom du site (id-botanica.com)
